原标题:
中新网客户端北京9月18日电 17日晚,中央气象台已停止对台风“山竹”的编号,咆哮多日的“风王”正式退场。不过,根据气象预报,受“山竹”余威的影响,广东、广西等地今日仍有暴雨。

9月17日,广东江门台山大江镇侨园新村,民众使用铁板抵挡家门口的积水。中新社记者 陈骥旻 摄
台风余威仍在
——“山竹”停止编号 广东、广西局地仍有暴雨
肆虐多日之后,从17日开始,被称为“风王”的今年第22号台风“山竹”,其能量逐渐减弱,影响力也渐渐变小。
根据中央气象台的监测,“山竹”17日下午在广西西部减弱为热带低压,此后继续向西偏北方向移动,强度进一步减弱,目前已经很难确定其环流中心,中央气象台在17日20时停止对其编号。
从17日开始,广东、海南等地因“山竹”而停运的高铁、航运线路也逐渐恢复运营,民众的工作生活正慢慢恢复正常。
“风王”虽已退场,但是余威仍然存在,中央气象台在17日18时发布了暴雨蓝色预警。
预计17日20时至18日20时,广东西南部、广西、贵州、云南南部等地有大到暴雨,其中,广东西南部和广西东南部沿海局地有大暴雨(100~120毫米)。
此外,水利部和中国气象局17日18时联合发布山洪灾害气象预警,自然资源部与中国气象局还联合发布地质灾害气象风险预警。

台风过后,广州市珠光路仓前直街,垃圾堆积,一片狼藉。沈钊 摄
“山竹”造成哪些灾害?
——伤亡人数较近年同级别台风大幅减少
自“山竹”奔向华南以来,从国家层面到地方政府,连日来,多地多部门联动迎战今年来登陆中国的最强台风。
根据应急管理部的统计,截至17日18时,广东、广西消防部队出警2603次,出动消防员2万余人次、车辆舟艇3635台,营救群众1629人,疏散群众7530人。
登陆以来,“山竹”的肆虐带来多少灾害?据统计,截至17日18时,台风“山竹”造成广东、广西、海南155万人受灾,4人因灾遇难、1人失踪,700余间房屋倒塌或严重受损。
17日下午,应急管理部召开抗击台风“山竹”视频调度会,这次会议认为,从目前的情况看,台风“山竹”与2008年“黑格比”、2015年“彩虹”、2017年“天鸽”相比,路径相似、强度相近,但伤亡人数、失踪人口、倒损房屋等都大幅度下降。
不过,这次会议同时强调,虽然当前台风“山竹”已逐步减弱为热带低压,但暴雨、大风等灾害天气仍将持续,台风过境地区有可能出现城市内涝、洪水和地质灾害。
特别是广西、云南、贵州等前段时间雨水浸泡时间较长的山区,次生事故灾害风险仍然较高,抢险救援、防灾救灾任务仍然很重。应急管理部要求,相关地区要继续保持应急备战状态,不可掉以轻心、麻痹松懈,台风一日不退、力量一日不撤。

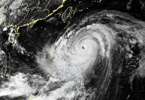
台风“山竹”卫星云图。图片来源:中央气象台
网友热议“山竹”该不该除名
——专家:截至目前已有36个台风名称被清除
“风王”、“超级台风”、“最强台风”……自“山竹”生成以来,舆论对于“山竹”威力的形容词不断涌现。
自“山竹”影响逐步显现以来,华南多地网友就在互联网上晒出“风王”的凶悍威力。
16日13时许,“山竹”登陆之前,深圳市气象局官微“深圳天气”甚至还@中央气象台,表示申请除名“山竹”,冷酷的“山竹”该不该除名也引发网友的讨论。
中国气象局台风与海洋气象预报中心首席预报员高拴柱介绍,台风的名字,来自世界气象组织所属的亚太地区14个国家和地区各提供10个名字而组成的140个备用名。这140个名称始终处于循环使用的状态,直到“退役”的那一天。

9月17日上午,工程人员在香港维多利亚公园砍锯倒塌的树木。受台风“山竹”影响,香港有1500宗塌树报告,维园受灾严重。中新社记者 洪少葵 摄
专家介绍,对于造成特别严重灾害的热带气旋或因其他原因,台风委员会成员都可以申请将该热带气旋名称从命名表中删除。例如,曾给中国造成重大损失的2005年第19号台风“龙王”、2013年第30号台风“海燕”、2016年第14号台风“莫兰蒂”,它们都因为破坏力巨大,正式被除名。
据悉,截至目前,被除名的共有36个名称,这些名称将永远代表它最后一次跟随的台风。此外,热带气旋命名表上每一个名字的序列都是固定的,当某一名称被除名后,提供该名称的成员需提交一个新的名称,填补这一序列空缺。
据介绍,2006年台风“榴莲”曾在菲律宾造成数百人死亡,因此,菲律宾在当年召开的台风委员会年度会议上就提出将“榴莲”除名。与此同时,提供“榴莲”名称的泰国则须在第二年召开的台风委员会年度会议上提交新的名称,“山竹”便由此而来。







